Обяви За нас Контакти
Продава ПАРЦЕЛ
област София, с. Пролеша
58 350 €
114 122.68 лв.

(150 €, 293.37 лв./m2)
Не се начислява ДДС
История на цената
Публикувана в 14:09 на 27 март, 2026 год.
Обявата е посетена 42 пъти.
Площ:
389 m2
Регулация:
ДА
Ток:
НЕ
Вода:
ДА

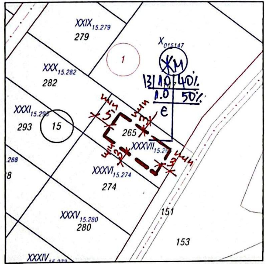
Описание на имота:


📌 Референтен номер: 2108391.

❗ Революшън Естейт представя урегулиран поземлен имот в с. Пролеша. ❗

- Площ: 389 кв.м.
- Плътност (%):50.00
- Кинт: 1.00
- Кота корниз (м): 10.00
- Жм - Устройствени зони с преобладаващо застрояване с височини до 10м. Мин 50% от озеленената площ е с висока дървесна растителност.
- С разрешение за вода и в очакване за разрешение за ток.

Парцелът разполага с виза за проектиране на еднофамилна жилищна сграда.

📞 Информация за горепосочения имот, може да получите чрез формата на запитване или чрез директна връзка с нас на посочения телефон.
Особености
Виза
За жил.строителство
За контакт:
0899500900
Брокер:
Офис Ново строителство
0899500900
Офис: гр. София, бул. Шипченски проход 18
Още оферти от брокера: Продава | Дава под наем | Купува | Наема
Агенция:
РЕВОЛЮШЪН ЕСТЕЙТ
0899500900
РЕВОЛЮШЪН ЕСТЕЙТ logo
Медал за прослужено време
В imot.bg от 2018 г.
revolutionestate.imot.bg
Адрес:
област София, гр. София, гр. София, бул. Шипченски проход 18
http://www.revolution-estate.bg
ИЗПРАТИ ЗАПИТВАНЕ
ИЗПРАТИ ЗАПИТВАНЕТО

Продава ПАРЦЕЛ
област София, с. Пролеша
Обява: 1r177461336349824

58 350 €
114 122.68 лв.
История на цената
(150 €, 293.37 лв./m2)

Не се начислява ДДС
ЗАПАЗИ ОБЯВАТА

Местоположение: област София, с. Пролеша